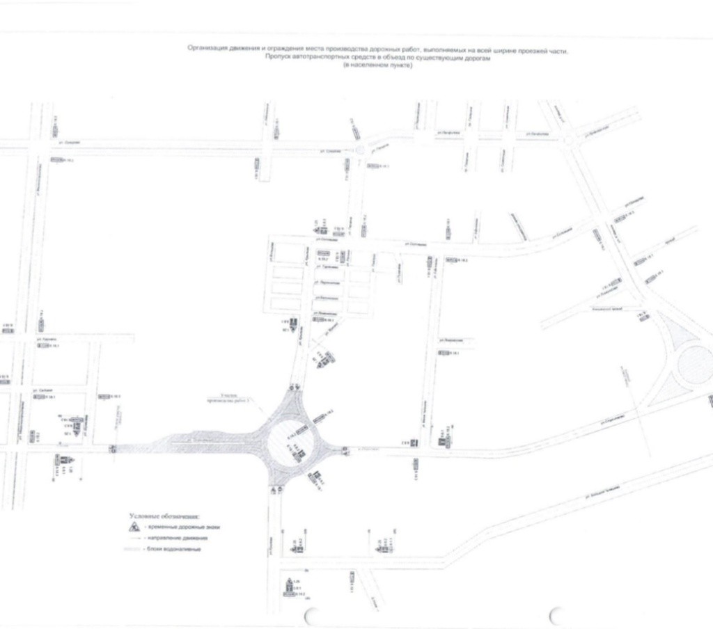
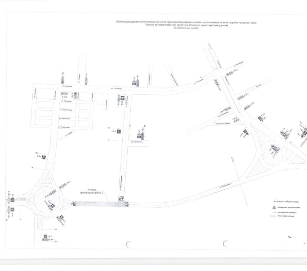
Из-за ремонта дорожного покрытия запретят движение всех транспортных средств по улице Строителей на участке от железнодорожного переезда (108 км железнодорожной линии Зеленый Дол - Яранск) до Кокшайского переезда (включая кольцевое пересечение с ул. Крылова и перекресток с ул. Малое Чигашево):
по будням с 19:00 до 07:00 с 29 мая по 9 июня;
31 мая, 1, 7 и 8 июня перекрытие будет организовано круглосуточно.



Схемы предоставлены администрацией Йошкар-Олы
Кроме того, в Йошкар-Оле с 4 по 5 июня перекроют несколько дорог из-за конкурса «Лучший вальщик леса - 2025».





