С 8:00 5 июня до 20:00 7 июня по улице Йывана Кырли на пересечении с улицей Баумана будет ограничено движение всех транспортных средств.
Как пояснили в мэрии Йошкар-Олы, дорога будет перекрыта из-за строительно-монтажных работ и врезки в газопровод.
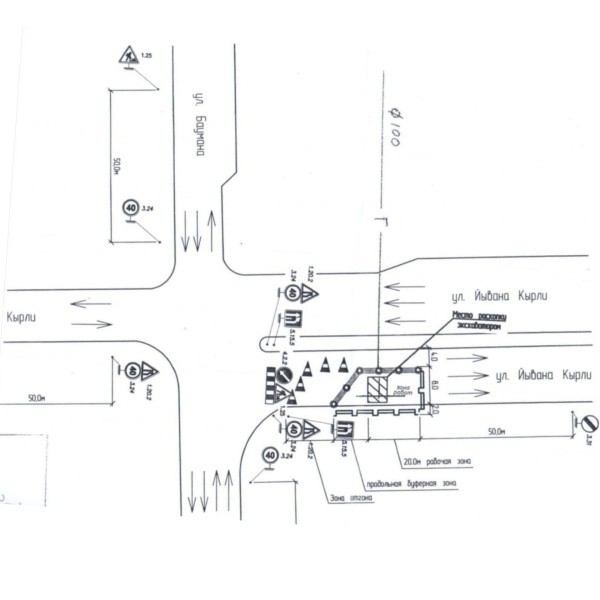
Схема организации дорожного движения и ограждения мест производства дорожных работ подробно показана на рисунке.
Кроме того, из-за соревнований по картингу 2 июня в Йошкар-Оле перекроют центр города.





